Description
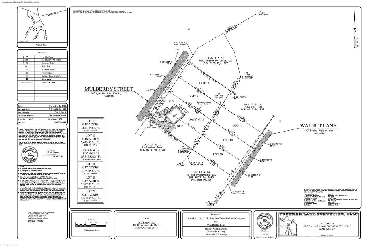
Builders and developers take note, here is a rare opportunity in a great Woodfin location! This property is now on the market as separated lots. This unique property offers 5 buildable lots, southwestern facing mountain views, river views, and view of downtown Asheville Battery Park Hotel area. Two front lots are .18 acre each are slightly sloped and front on Mulberry St. The other three, off Walnut St., are each .17 acre. Sewer easement is provided by 22 Mulberry St. Water line access from streets and power pole adjacent. This is perfect to combine back lots and build or develop much needed affordable housing or rentals in a super convenient location, just 2 miles from River Arts District, 2.5 miles to Downtown Asheville, .5 miles from Beaver Lake, and .5 miles from UNCA campus. Also available for purchase is 22 Mulberry Street at $395,000. It's move in ready for rent or primary home or live in while developing other lots! Or own the whole property at 1.24 acres. Survey is on File.
-
0BEDS
-
0.87ACRES
-
0BATHS
-
01/2 BATHS
School Information
Offered by Mosaic Community Lifestyle Realty: 828-707-9556. Copyright 2025 Canopy MLS. All rights reserved.Description
Builders and developers take note, here is a rare opportunity in a great Woodfin location! This property is now on the market as separated lots. This unique property offers 5 buildable lots, southwestern facing mountain views, river views, and view of downtown Asheville Battery Park Hotel area. Two front lots are .18 acre each are slightly sloped and front on Mulberry St. The other three, off Walnut St., are each .17 acre. Sewer easement is provided by 22 Mulberry St. Water line access from streets and power pole adjacent. This is perfect to combine back lots and build or develop much needed affordable housing or rentals in a super convenient location, just 2 miles from River Arts District, 2.5 miles to Downtown Asheville, .5 miles from Beaver Lake, and .5 miles from UNCA campus. Also available for purchase is 22 Mulberry Street at $395,000. It's move in ready for rent or primary home or live in while developing other lots! Or own the whole property at 1.24 acres. Survey is on File.
Based on information submitted to the MLS GRID as of 2025-12-13T23:33:33.067 UTC. All data is obtained from various sources and may not have been verified by broker or MLS GRID. Supplied Open House Information is subject to change without notice. All information should be independently reviewed and verified for accuracy. Properties may or may not be listed by the office/agent presenting the information.The data relating to real estate on this Web site derive in part from the Canopy MLS IDX program. Brokers make an effort to deliver accurate information, but buyers should independently verify any information on which they will rely in a transaction. All properties are subject to prior sale, change or withdrawal. Neither Home and Key Realty nor any listing broker shall be responsible for any typographical errors, misinformation, or misprints, and they shall be held totally harmless from any damages arising from reliance upon this data. This data is provided exclusively for consumers' personal, non-commercial use and may not be used for any purpose other than to identify prospective properties they may be interested in purchasing. © 2025 Canopy MLS.
“Listings courtesy of Canopy MLS as distributed by MLS GRID
Some IDX listings have been excluded from this website.
Digital Millennium Copyright Act
